LOADING

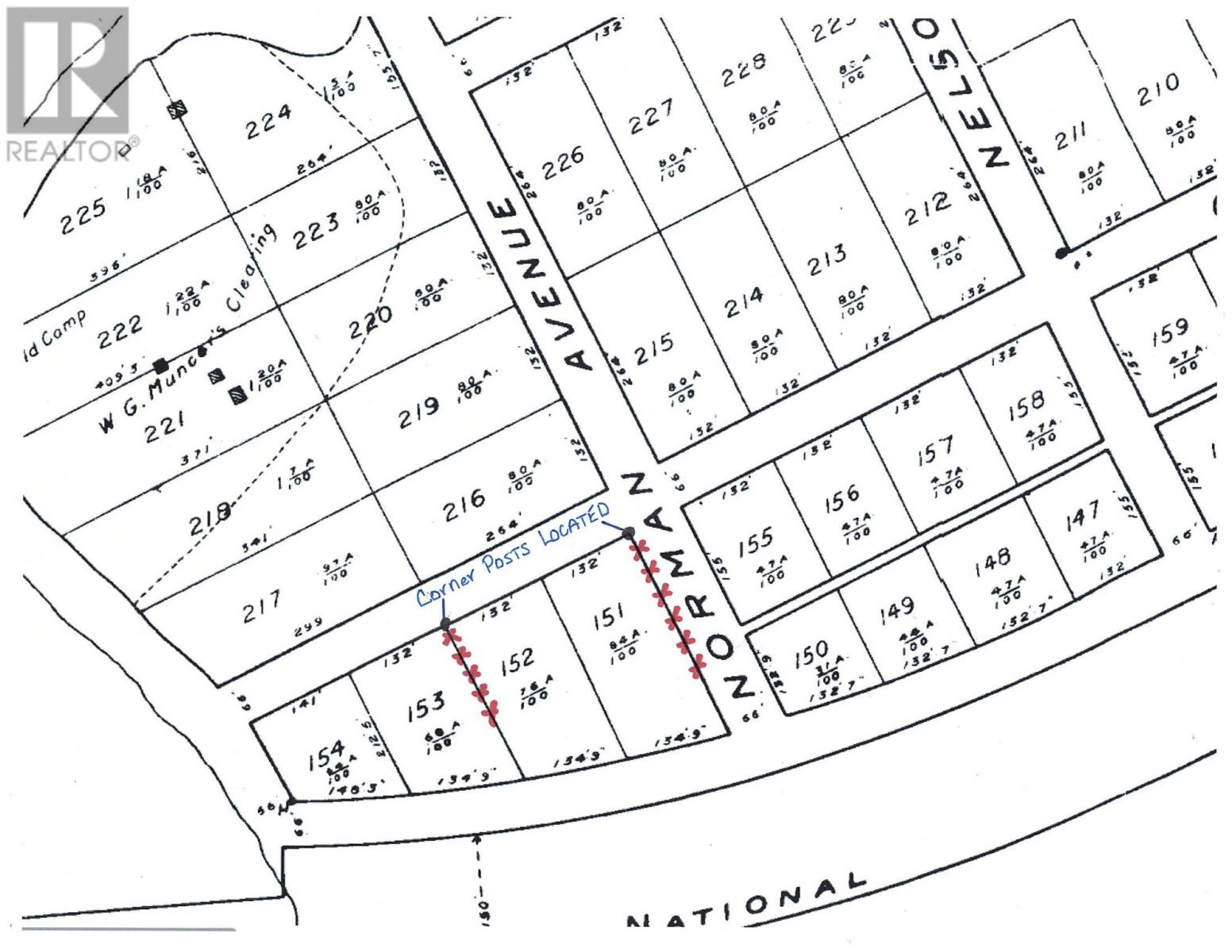
Lot 151 Plan M222 Minaki, Ontario P0X 1J0

$20,000

New Listing. Vacant treed lot on titled land located in the Minaki townsite. Suitable for a cottage, modular or RV. .84 of an acre with 134' south facing frontage. There are marinas for boat docking, a convenience store, Community Centre and a seasonal restaurant. The road is not currently developed right to this site and therefore further development will be required for access. Hydro is available nearby. There is no time line for development. This area is unorganized and taxes are currently $117.00 annually. 13% HST and Ontario Land Transfer tax ($100.00 based on $20k)) applies to the purchase price. (id:49187)

Property Details

MLS® Number TB250064
Property Type Vacant Land
Community Name Minaki

Building

Land

Acreage No
Size Frontage 134.0000
Size Total Text 1/2 - 1 Acre

https://www.realtor.ca/real-estate/27795539/lot-151-plan-m222-minaki-minaki

Your Favourites

 

No Favourites Found